REQUEST A TOUR If you would like to see this home without being there in person, select the "Virtual Tour" option and your agent will contact you to discuss available opportunities.
In-PersonVirtual Tour

Listed by Keller Williams Realty Eugene and Springfield • 541-349-2620
$ 225,000
Est. payment /mo
Pending
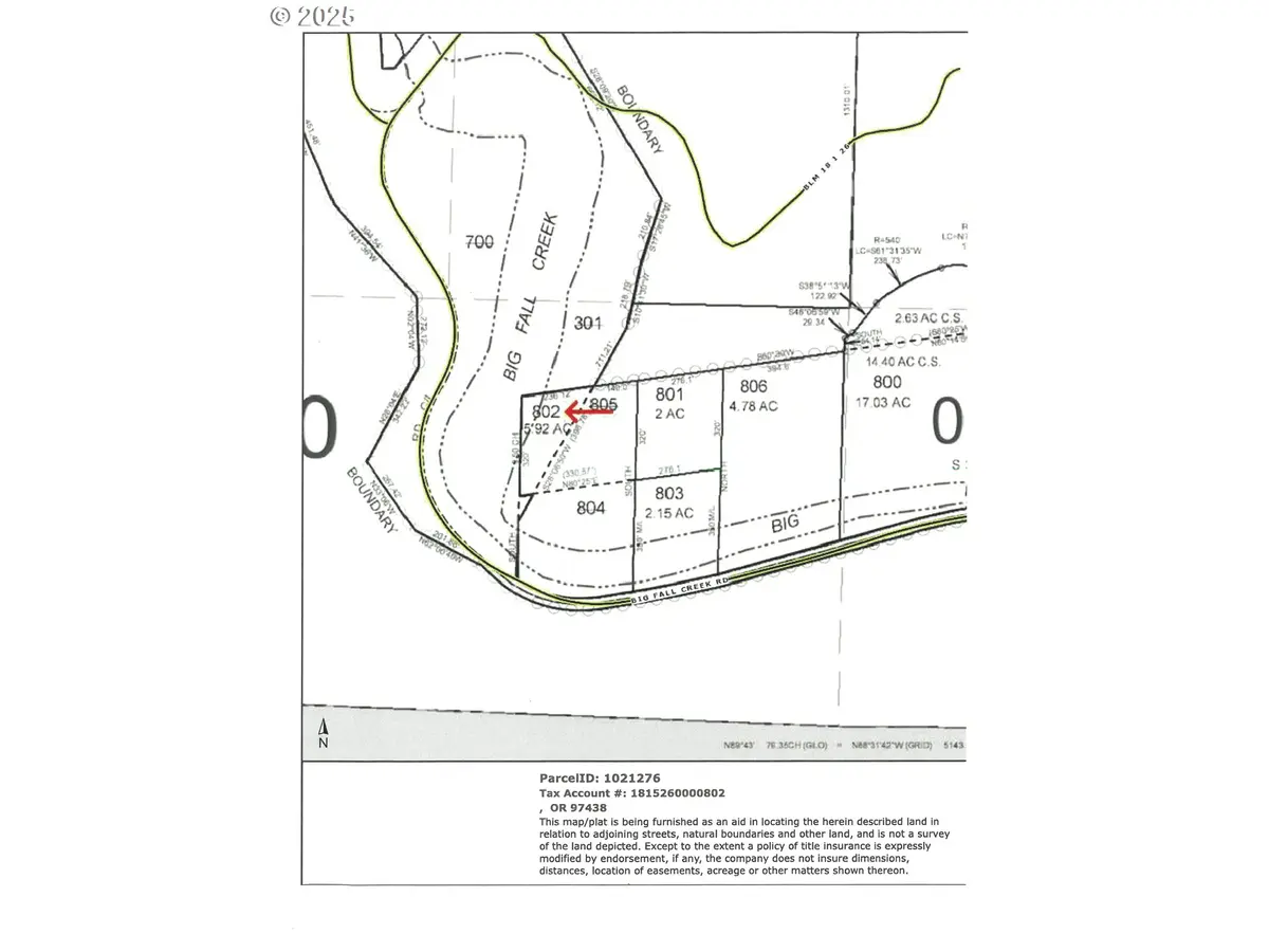
Big Fall Creek Rd #802 Fall Creek, OR 97438
5.92 Acres Lot
UPDATED:
Key Details
Property Type Vacant Land
Sub Type Single Family Residence
Listing Status Pending
Purchase Type For Sale
MLS Listing ID 570709492
HOA Y/N No
Annual Tax Amount $706
Tax Year 2024
Lot Size 5.920 Acres
Property Sub-Type Single Family Residence
Property Description
This beautiful 5.92 acre property is bordered on two sides by Fall Creek. In the Summer when the lake is full , the lake extends up the creek channel on the property the remainder of the year it is a flowing creek.. The land consists of 3 tax lots and one is a legal and buildable lot. The property was used as a recreation property, but is ready for a private residence. Well and septic are in. All information in regards to legal lot status, plat maps, etc. are available.
Location
State OR
County Lane
Area _234
Zoning RR5
Exterior
Utilities Available ElectricityConnected, SepticTank, Well
Waterfront Description Creek,Lake
View Creek Stream, Territorial, Trees Woods
Garage No
Building
Lot Description Merchantable Timber, Private, Stream, Wooded
Schools
Elementary Schools Lundy
Middle Schools Lowell
High Schools Lowell
Others
Acceptable Financing Cash, Conventional
Listing Terms Cash, Conventional






